小伙伴请注意!拉萨多个景区开闭园时间已调整请大家及时留意哦↓↓↓布达拉宫11月1日至2026年4月30日淡季开放时间: 9:30-15:20大昭寺每日...
2025-11-01 0
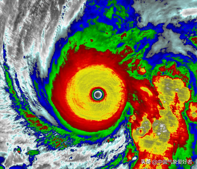
这几天,北大西洋出了一个非常颠的飓风:梅利莎。其实梅利莎刚刚生成的时候我们也知道它会比较颠,但没想到它会这么颠。梅利莎的颠,不仅体现在它的极端强度上,更体现在它一系列突破了传统气象经验、气象认知的特点上。
首先,梅利莎是一个极端强的飓风。在它登陆牙买加之前数小时,美国飓风探测飞机曾多次飞入梅利莎的飓风眼,测到了飓风中心最低气压892百帕,这是北大西洋历史第三低气压,仅次于2005年飓风威尔玛、1988年飓风吉尔伯特。
随后,梅利莎带着非常清晰的飓风眼,以巅峰强度登陆牙买加西部,从而成为牙买加最强登陆飓风,也和1935年“劳动日飓风”打平,成为1851年以来西半球气压最低的登陆飓风,是2020年超强台风天鹅以来,全球最强的登陆热带气旋,也超过了桦加沙,成为2025年迄今的全球风王。
其次,梅利莎是一个极端慢的飓风。在全球所有的顶级台风、飓风中,从来没有一个风暴像梅利莎这么慢。从牙买加东南侧到西南侧,300多公里的路,它走了三天三夜,而且多次在洋面上陷于停滞状态,一动不动。
第三,梅利莎是一个极端稳定的飓风。特别强的台风、飓风都有着巨大的耗能能力,能在很短时间内把海洋热量榨干,把深海的冷海水翻出来,从而把自己搞崩。2018年超强台风潭美在巴士海峡以东仅仅逗留两天,就把自己从17级玩成了14级;
而梅利莎在牙买加以南逗留了三天,在强度比潭美还要强的情况下,不仅不减弱,还持续增强,而且一直增强到了登陆牙买加前的最后一刻,如此情况是前所未有的。
第四,梅利莎是一个打破卫星云图强度分析规律的飓风。因为梅利莎超级稳定的增强和积累,它的云图完美程度、稳定程度超过了大西洋上的所有飓风,太平洋上的几乎所有台风,仅次于2013年超强台风海燕。按照德沃夏克卫星云图定强技术,它的强度指数已经达到强度表的最上端,应该给与170kt甚至更高的强度,也就是一分钟平均风速87.5米/秒。
但根据飞机实测结果,它的强度一直都远比卫星云图定强要低,中心附近1分钟平均风速长期在77米/秒以下,直到登陆前才提升到82米/秒左右。当然,这个强度也可以坐稳2025年全球风王,但和它的云图表现完全不匹配,可谓颠覆了卫星云图强度分析法的认知。
为什么梅利莎会有如此特点?这当然非常复杂,但有一个原因不可忽视,那就是在梅利莎到来之前,牙买加以南的加勒比海海温超过31度、局部32度,远远超过历史正常值;与此同时暖水极其深厚,50米深海水仍然超过30度。
正因为此,梅利莎进入了一个海水热量几乎取之不尽、用之不竭的超级暖核,再怎么造都能加强,虽然由于速度慢高压弱,梅利莎只有热力能量没有动力能量,所以风速比云图表现要偏低,但梅利莎一直加强到了登陆牙买加的最后一刻,给登陆地带去了深重灾难。
目前传出的少量视频显示,牙买加西南部沿海到处都是残垣断壁,已被狂风、风暴潮和洪水摧毁,而在当地的一位追风人已经十多个小时没有传出任何信息。
在加勒比海暖水发癫的同时,我国附近的西北太平洋海温也大幅偏高,与此同时菲律宾以东洋面,我国南海热带云团、台风胚胎活动非常活跃。在南海台风胚胎的影响下,这几天海南、广东西部、广西南部阵雨频繁,而越南出现特大暴雨,顺化白马山24小时雨量达到1739毫米,仅次于我国台湾阿里山,是1996年9608号台风暴雨以来亚洲最大的特大暴雨。
而接下来,西北太平洋上的台风胚胎98W有可能加强为25号台风海鸥,太平洋深处还可能有新台风胚胎发展。我们提醒,目前菲律宾以东洋面海洋能量极为充沛,虽然目前新台风的强度有很大不确定性,但11月的西北太平洋仍有产出超强台风甚至风王的可能性,请华南沿海的朋友可以适当关注台风胚胎动向,11月上旬后期,也可能需要做好防台准备。
下载看天App,随时掌握天气情况
相关文章
小伙伴请注意!拉萨多个景区开闭园时间已调整请大家及时留意哦↓↓↓布达拉宫11月1日至2026年4月30日淡季开放时间: 9:30-15:20大昭寺每日...
2025-11-01 0
第一章 职场隐形人:6 万与 6 千的距离江城的九月,秋老虎依旧肆虐。下午两点,阳光透过写字楼的落地窗,在地板上投下刺眼的光斑。创科网络的办公区里,空...
2025-11-01 0
“请您核对下金额。”北京某大型黄金珠宝门店回收档口的工作人员说。投资者吴先生清点完,把一沓现金塞进背包,他攒的投资金条,终于落了袋。这样的场景,几乎每...
2025-11-01 0
追悼会那天,八宝山礼堂门口挤满人。 不是粉丝,是穿大褂的同行。 谁也没想到,第一排磕头名单里,突然少了几张熟脸。 马季站在台阶上,嗓子压得很低:...
2025-11-01 0
据央视新闻最新消息,记者从湖南湘潭相关部门了解到,“湘潭大学宿舍投毒案”罪犯周立人今天(10月31日)被执行死刑。南都此前报道,今年4月7日,湘潭市中...
2025-11-01 0
10月31日,国家市场监督管理总局发布关于“北京理想汽车有限公司召回部分理想MEGA 2024款电动汽车”的消息:日前,北京理想汽车有限公司根据《缺陷...
2025-11-01 0
深秋时节,北京潭柘寺景区内享有“帝王树”美誉的千年古银杏迎来最佳观赏期。景区依托这一独特生态资源,创新推出“文化+体验+助农”三位一体的文旅融合模式,...
2025-11-01 0
近日,上海Fotografiska影像艺术中心正式宣布:自2025年11月1日起,馆内展览、零售及咖啡区域将在每周一正常对外开放,实现“每周无休”开放...
2025-11-01 0
发表评论